
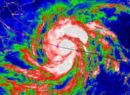
Haiyan as viewed by Japan’s MTSAT satellite today. NASA
The rain is ricocheting off the roads here in Manila. Early on Friday, our car’s tyres dragged in the deep puddles. Basketball courts – remnants of bygone American rule, and a staple of every district – are already flooding.
During a typhoon, flooding is one of the major causes of death in Philippine cities, the streaming water wreaking havoc. Missing manhole covers, sometimes stolen to sell for scrap metal, create lethal traps beneath the streams. One of the city’s landfills, which goes by the name of “Smokey Mountain” and is seven storeys high, is surrounded by thousands of dwellers who burn the trash for charcoal to sell. When the water comes, the trash flows with it. More than once before, parts of the mountain have collapsed under the volume of water.
According to news reports, Typhoon Haiyan is the worst storm ever to make landfall, with near 200mph winds in some areas. But because it is so enormous – 600km across – Haiyan’s impact on the country is lopsided; Manila is being spared the worst this time, experiencing a category 2 storm as opposed to the dreaded category 5 that has struck further south.
Many Filipinos here in the capital have families on the worst-hit islands. This morning, one woman said her relatives in the Visayas were sheltering in a church after the roof was torn from their house. For the most part, the Philippines is devoutly Catholic, and this was their last place of refuge and hope as the storm hit.
A disastrous year
The typhoon could not have come at a worse time. Badly hit areas in the southern islands, like the cities of Cebu and Bohol, were still recovering from last month’s 7.2 magnitude earthquake. Many homes had not yet been rebuilt, and even if they had, those with corrugated iron roofs – of which there are many – had the metal ceilings lifted away by the wind. Millions of Filipinos live in poor housing, with as many as 22.8 million in high-density slum conditions that make them all the more vulnerable to disaster.
And Haiyan is just the latest in a string of catastrophes: besides the recent earthquake, it has been an especially bad year for natural disasters in the Philippines. Floods and storms (there have been 25 typhoons this year alone) have returned again and again, wrecking homes and destroying lives. I’m told that after one major flood in August, many employees from affected areas still turned up for work in the following days. They did so because they had nothing left, and nowhere else to go.
As the storm passes tomorrow morning, the rebuilding will begin. Filipinos have a well-deserved reputation for resilience, and communities here are very strong – especially at Christmas. In Manila, decorations are already up and Christmas carols have been playing in malls since early October. This year more than any, it is a time for coming together. A time for goodwill. A time for family.
By Adam Kucharski, London School of Hygiene & Tropical Medicine
Adam Kucharski does not work for, consult to, own shares in or receive funding from any company or organisation that would benefit from this article, and has no relevant affiliations.
![]()