Business
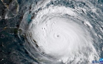
Hurricanes, flood insurance and the dangers of ‘business as usual’
The insurance industry should help its customers prepare for future catastrophes instead of burying it’s head in the sand.